
近日,据小房君了解,广东骏荣投资有限公司(普宁骏荣奔驰4S店)建设项目正式通过备案,总投资8000万,规划用地总面积17.76亩,一期占地10.68亩,主要建设奔驰4S店展厅、车间及配套用房。具体内容如下:

广东骏荣投资有限公司(普宁骏荣奔驰4S店)建设项目
备案项目编号:2205-445281-04-01-193272
项目名称:广东骏荣投资有限公司(普宁骏荣奔驰4S店)建设项目
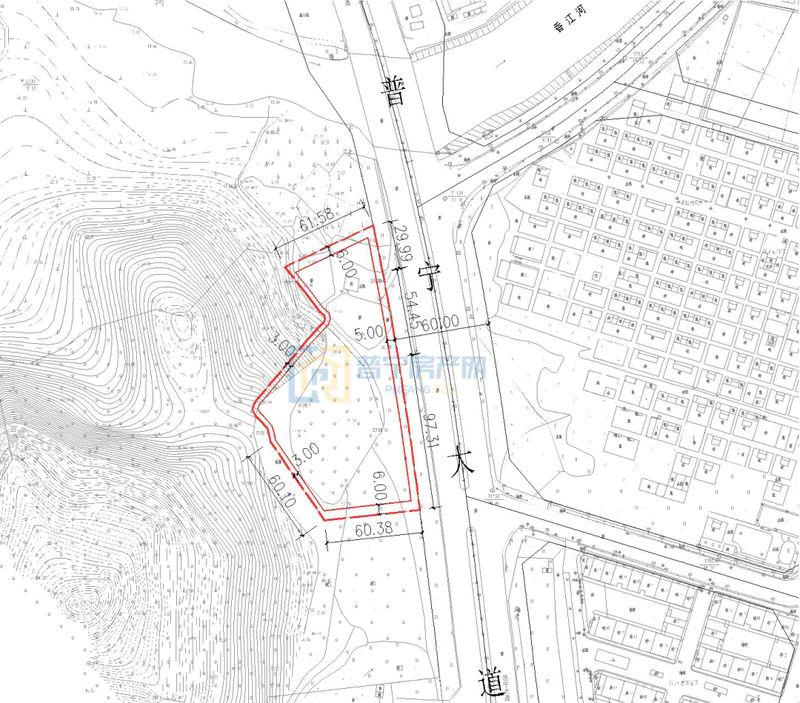
项目所在地:普宁市流沙南街道普宁市普宁大道香员坑村路段西侧
项目总投资:8000万元
项目规模及内容:项目规划用地总面积11843平方米,一期项目占地面积7119平方米,建筑面积4763平方米。主要建设奔驰4S店展厅、车间及配套用房。
建设单位:广东骏荣投资有限公司
备案机关:普宁市发展和改革局
备案申报日期:2022-04-27
复核通过日期:2022-05-05
项目起止年限:2022-06-01至2023-06-01
项目当前状态:办结(通过)
航拍图片












从航拍图可以看到,现场四周已用铁皮围挡,已有机器和工人进场作业,项目或已动工。
普宁骏荣奔驰4S店


示意图,仅供参考
据小房君了解,该地块于2021年5月16日被广东骏荣投资有限公司以5650万竞得,成交楼面价2385.38元/㎡,占地面积11843平方米,为40年零售商业用地。


结语


从区位来看,该项目位于东部新城起步区,该片区定位为集商贸服务、娱乐休闲、交通集散、现代居住于一体,提升普宁东部整体功能的城市副中心。项目临近普宁高铁站,优势明显,交通便利,周边集中有帝景城、水岸城、盛迪嘉中心、港泰豪庭(楼盘详情户型图相册地图0663-2559559)等项目。
在今年政府工作报告中曾提到,规划打造汽车4S店品牌街,推进骏荣奔驰4S店建设,引入更多汽车品牌,目前该项目已通过备案或已动工,期待早日建设完成,助力普宁经济发展。
