



近日,据小房君了解,普宁一批项目启动公示,涉及卷烟物流配送中心、山湖雅居续建项目、南径屠宰场、看守所、北部生活垃圾环保处理中心、嘉洲制药、南溪粮食储备库,具体内容如下:


广东烟草粤东区域卷烟物流配送中心建设工程规划许可事项批后公示
许可证号:4452812022G015
发证机关:普宁市自然资源局
发证日期:2022年9月23日
建设单位:广东烟草揭阳市有限公司
项目名称:广东烟草粤东区域卷烟物流配送中心
建设位置:池尾(楼盘详情户型图相册地图)街道新丰村、普惠高速公路西侧
建筑规模:壹幢壹层联合工房、壹幢伍层配套设施用房、壹幢壹层车库、壹幢壹层公用工程用房、壹层门卫房,总建筑面积贰万陆仟玖佰捌拾壹平方米(其中地下消防泵房壹佰玖拾贰平方米)。


许可证号:〔2022〕普自然资规竣017号
发证机关:普宁市自然资源局
发证日期:2022年9月23日
建设单位:广东南方梅园生态村有限公司
项目名称:广东南方梅园生态村首期(山湖雅居)续建
建设位置:广汕公路云落段西北侧
建筑规模:建设工程规划许可证列:建字第4452812020G011号,规划许可总建筑面积5886平方米。


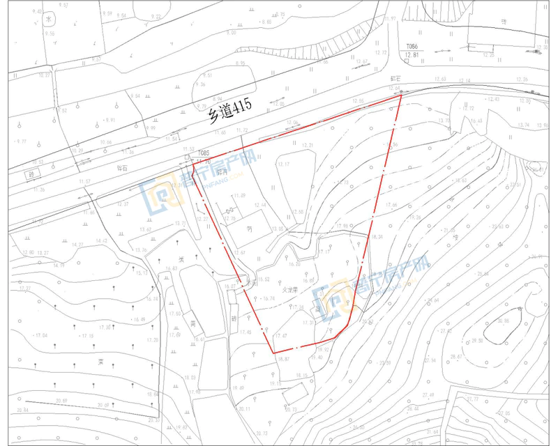
普宁市牧原牲畜屠宰有限公司建设用地规划许可批前公示
依照《广东省城乡规划条例》第二十九条规定,现将我局受理的普宁市牧原牲畜屠宰有限公司规划许可申请事项批前公示如下:
1.用地性质:二类工业用地;
2.用地位置:普宁市南径镇圩脚村;
3.用地面积:8229平方米(12.34亩),(计容用地面积8229平方米);
4.类别:出让;
5.根据国有建设用地使用权出让合同(编号:445281-2022-000009)办理建设用地规划红线图;
6.红点划线为用地范围线;

7.红实线为多层建筑物控制线,建筑物应按有关规范进行设计,多层建筑控制线范围内可设置一层地下室作为停车场地及配套设备用房;
8.规划设计方案报市自然资源局审核后,方可正式设计;
9.标注尺寸单位为米;
10.应自行协调处理好毗邻用地关系。
11.主要规划技术指标(按计容用地面积:8229平方米计算):
建筑密度≤50%
容 积 率≥0.8且≤1.5
绿 地 率≤20%
建筑高度≤24米。
12.公示时间:2022年9月28日至2022年10月7日

普宁市看守所扩建项目用地预审与选址意见书批前公示
依照《广东省城乡规划条例》第二十九条规定,现将我局受理的普宁市看守所扩建项目用地预审与选址意见书申请事项批前公示如下:
一、建设单位:普宁市公安局
二、建设项目:普宁市看守所扩建项目
三、建设项目拟选址位置:普宁市梅塘镇泗坑村
四、拟选址用地面积:约1.3787公顷
五、项目建设规模和内容:本项目建设规模为1.3787公顷,为农用地1.2972公顷(耕地0.9248公顷,不占用永久基本农田),建设用地0.0815公顷。普宁市看守所扩建项目建设看守所区及配套设施等。
六、公示时间:2022年9月28日至2022年10月11日


普宁市北部生活垃圾环保处理中心用地预审与选址意见书批前公示
依照《广东省城乡规划条例》第二十九条规定,现将我局受理的普宁市北部生活垃圾环保处理中心用地预审与选址意见书申请事项批前公示如下:
一、建设单位:普宁市市容环境卫生管理中心
二、建设项目:普宁市北部生活垃圾环保处理中心
三、建设项目拟选址位置:普宁市广太镇黄芽山村
四、拟选址用地面积:约8.5773公顷
五、项目建设规模和内容:本项目建设规模为8.5773公顷,为农用地8.5773公顷(不占用永久基本农田)。普宁市北部生活垃圾环保处理中心设计总规模为生活垃圾1200t/d和餐厨垃圾200t/d,配置2台处理能力为600t/d机械炉排焚烧炉及2台中温次高压余热锅炉(6.4MPa,450℃),配置2台15MW中温次高压凝汽式汽轮机(6.2MPa,445℃)及2台15MW的发电机。
六、公示时间:2022年9月28日至2022年10月11日


广东嘉洲制药有限公司建设用地规划许可批前公示
依照《广东省城乡规划条例》第二十九条规定,现将我局受理的广东嘉洲制药有限公司规划许可申请事项批前公示如下:
1.用地性质:二类工业用地;
2.用地位置:产业转移工业园区内(普宁市大健康产业园、英歌山工业园)、英歌山北路北侧;
3.用地面积:10711平方米(16.07亩),(计容用地面积10711平方米);
4.类别:出让;
5.根据国有建设用地使用权出让合同(编号:445281-2022-000011)和根据《普宁市大健康产业园控制性详细规划》(规划批准文号:普府函〔2018〕206号)办理建设用地规划红线图;
6.红点划线为用地范围线,品红线为机动车禁止开口线;
7.红实线为多层建筑物控制线,建筑物应按有关规范进行设计,多层建筑控制线内可结合人防设置地下停车场及设备用房;
8.规划设计方案报市自然资源局审核后,方可正式设计;
9.标注尺寸单位为米;
10.应自行协调处理好毗邻用地关系。
11.主要规划技术指标(按计容用地面积:10711平方米计算)):
建筑密度≤45%
容 积 率≥1.5且≤2.5
绿 地 率≥10%且≤20%
建筑高度≤24米。
12.公示时间:2022年9月28日至2022年10月7日


普宁市储备粮管理中心普宁市南溪粮食储备库建设用地规划许可事项批后公告
许可证号:地字第445281202200021号
发证机关:普宁市自然资源局
发证日期:2022年9月9日
用地单位:普宁市储备粮管理中心
用地位置:普宁市南溪镇钟堂村,县道X005西北侧
用地性质:一类物流仓储用地
用地面积:22729平方米(34.09亩)





